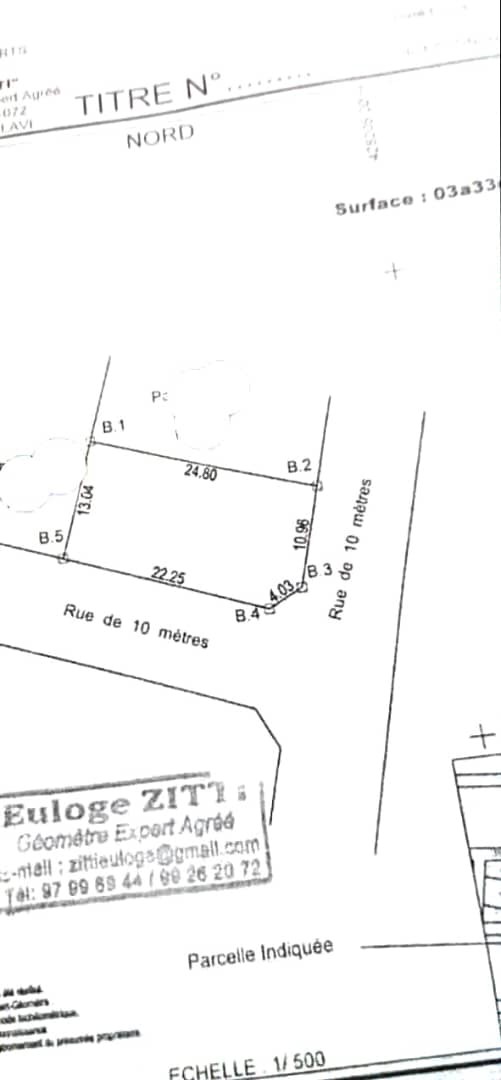
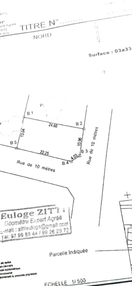
Terrain, SEME-PODJI
- Référence : 20241229081541
- Surface totale : 305 M2
- Prix de vente : 7 000 000 FCFA
- Ajouter aux favoris Partager :
À Djèregbé, quartier Houéla, découvrez une opportunité immobilière unique avec plusieurs parcelles disponibles en troisième position du goudron. Ces terrains, d’une superficie de 305 m² chacun, sont parfaits pour concrétiser vos projets résidentiels ou commerciaux dans un cadre stratégique et facilement accessible. Avec un titre foncier en règle et un dossier déjà déposé chez le notaire, vous bénéficiez d’une transaction sécurisée et sans souci. Le prix est fixé à 7 millions FCFA, avec une légère possibilité de négociation pour vous offrir encore plus de flexibilité. L’acquéreur devra prévoir 5 % de commission. Ne laissez pas passer cette occasion de devenir propriétaire à Djèregbé. Contactez-nous dès aujourd’hui pour plus d’informations ou pour visiter le site.
- Nature du Titre de propriété : Titre foncier
- Domaine clôturé : Non
L'agence vous communiquera toutes les informations concernant l'obtention de ce bien. Veuillez contacter TOMFELIX SERVICE ETS pour plus de détails.































































































































































































































































