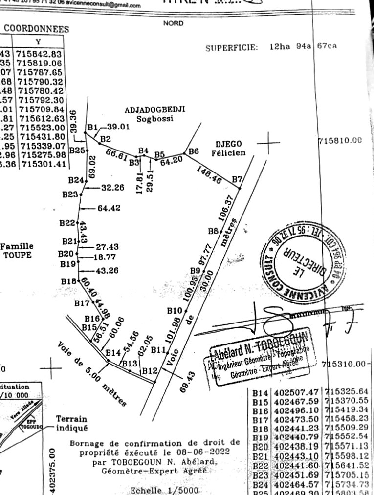
Terrain, Togoudo, TORI-BOSSITO
- Référence : 20231027140812
- Surface totale : 129 467 M2
- Prix de vente : 300 000 000 FCFA
- Ajouter aux favoris Partager :
Mise en vente d'une vaste domaine de plus de 12 hectares situé à Togoudo dans l'arrondissement de TORI-BOSSITO, disposant d'un titre foncier. Mise en vente à 25.000.000fcfa pas hectare.
- Nature du Titre de propriété : Titre foncier
- Domaine clôturé : Non
L'agence vous communiquera toutes les informations concernant l'obtention de ce bien. Veuillez contacter AIC LA JOIE ETS pour plus de détails.


















